















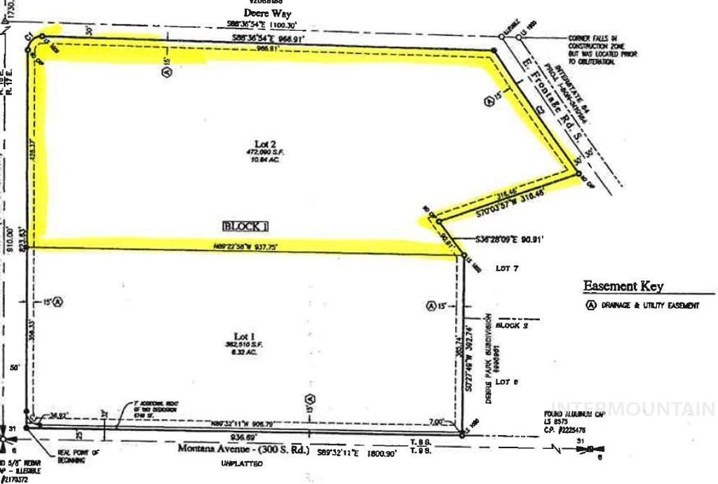
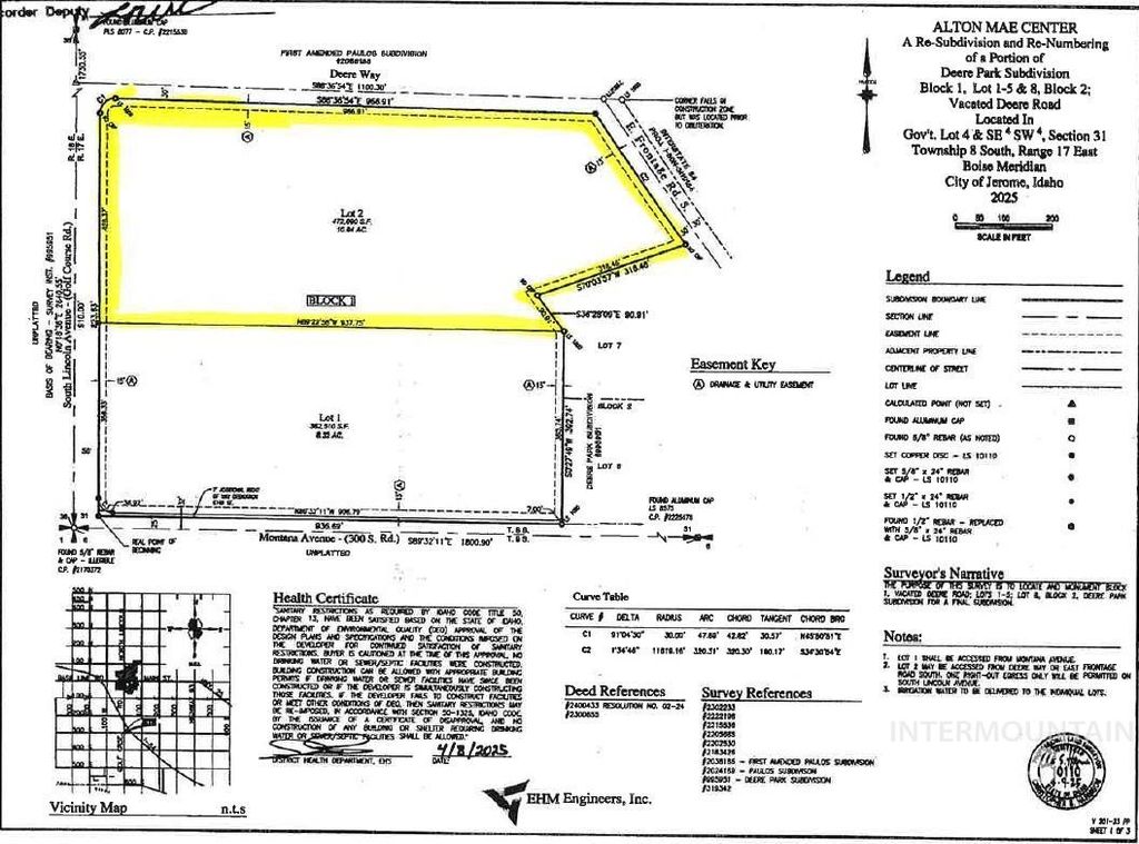
This 10.84-acre parcel is zoned C-3 High Density Business and is ideally located just south of the new I-84 roundabout on South Lincoln Street (Golf Course Road). The property offers excellent visibility and access, with multiple entry points from South Lincoln Street and the I-84 frontage road. City water and sewer are available in South Lincoln Street, making the site development-ready. With its strategic location and convenient interstate access, this property is well suited for a hotel, restaurant, truck stop, convenience store, or a wide range of service-oriented businesses. An outstanding opportunity for commercial development in a high-traffic corridor. There is also an adjoining 8.32 acre parcel also available.
Brad Little